Adresboek Enschede 1939.
Re: Adresboek Enschede 1939.
Wiering Joh.B. Dennenweg 186
Wiering Mej. G.H. textielarbeidster Dennenweg 186
Wiering Mej. G.M. confectiearbeidster Dennenweg 186
Wiering Mej. H.M. Dennenweg 186
Wiering Mej. Joh.M textielarbeidster Dennenweg 186
Wiering Mej. G.H. textielarbeidster Dennenweg 186
Wiering Mej. G.M. confectiearbeidster Dennenweg 186
Wiering Mej. H.M. Dennenweg 186
Wiering Mej. Joh.M textielarbeidster Dennenweg 186
Re: Adresboek Enschede 1939.
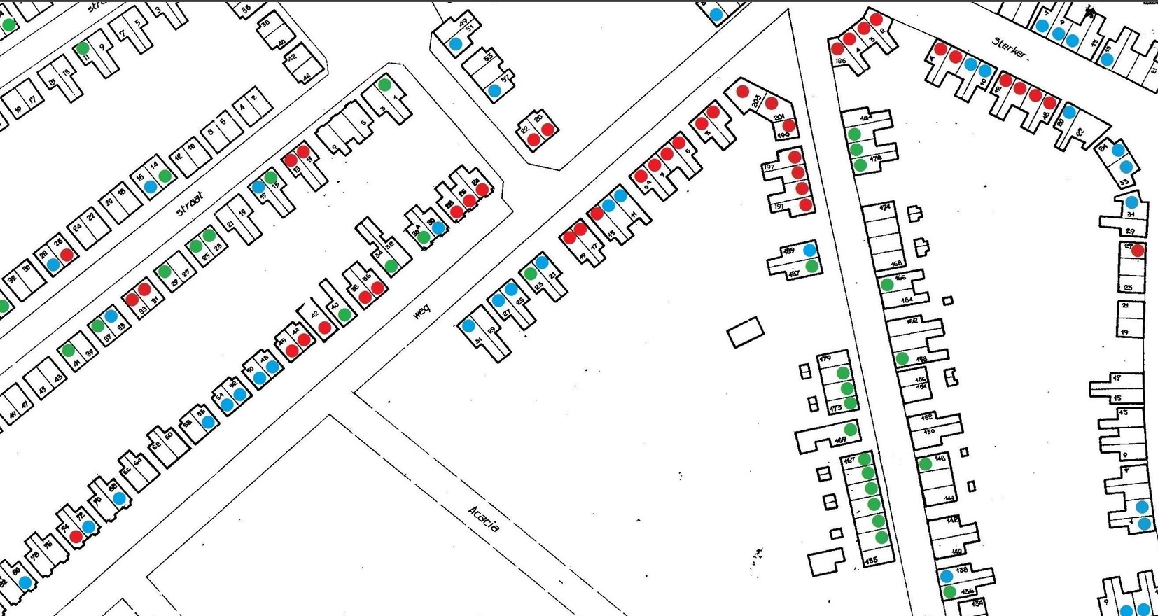
Stender W.V. koopman Dennenweg 191 advertentie 27-3-1939
Geverink H. textielarbeider Dennenweg 193
Haasewinkel B. textielarbeider Dennenweg 195
Olde Grunder W.G. fabrieksarbeider Dennenweg 195
Agterhuis H.J. bakker Dennenweg 197
Sluis B. van de timmerman Dennenweg 199
Venterink A.M.B. kapper Dennenweg 201 advertentie 18-6-1941
Keler H.Joh. manufacturenhand. Dennenweg 203 advertentie 24-6-1939
De panden Dennenweg 191-203 zijn verwoest bij een bombardement op 10-10-1943, zie schadekaart B5, zie ook: https://nl.wikipedia.org/wiki/Bombardement_op_Enschede en https://www.secondworldwar.nl/enschede/ ... schede.php en https://dagvandeweek.nl/historie/1943/1 ... p-enschede
De panden Dennenweg 191-203 zijn herbouwd in 1952, zie laatste foto.
Geverink H. textielarbeider Dennenweg 193
Haasewinkel B. textielarbeider Dennenweg 195
Olde Grunder W.G. fabrieksarbeider Dennenweg 195
Agterhuis H.J. bakker Dennenweg 197
Sluis B. van de timmerman Dennenweg 199
Venterink A.M.B. kapper Dennenweg 201 advertentie 18-6-1941
Keler H.Joh. manufacturenhand. Dennenweg 203 advertentie 24-6-1939
De panden Dennenweg 191-203 zijn verwoest bij een bombardement op 10-10-1943, zie schadekaart B5, zie ook: https://nl.wikipedia.org/wiki/Bombardement_op_Enschede en https://www.secondworldwar.nl/enschede/ ... schede.php en https://dagvandeweek.nl/historie/1943/1 ... p-enschede
De panden Dennenweg 191-203 zijn herbouwd in 1952, zie laatste foto.
Re: Adresboek Enschede 1939.
Bouwmeester A. grondarbeider Dennenweg 188 advertentie 7-11-1955
Bouwmeester H. textielarbeider Dennenweg 188
Bouwmeester Mej. H. textielarbeidster Dennenweg 188
Vries J. de fabrieksarbeider Dennenweg 190
Vries Mej. St. de textielarbeidster Dennenweg 190
Vries R. de textielarbeider Dennenweg 190
Vries Tj. de arbeider Dennenweg 190 advertentie 9-11-1943
Kroes J.W. arbeider Dennenweg 192
Kroes K. textielarbeider Dennenweg 192
Kroes Mej. J. Dennenweg 192
Haak J. grondwerker Dennenweg 194
Haak Mej. B. Dennenweg 194
Kloppenburg W. arbeider Dennenweg 196
Vries Jac. de grondwerker Dennenweg 198 advertentie 24-5-1969
Vries Mej. Z. de Dennenweg 198
De panden Dennenweg 190-192-194-196 en 198 zijn verwoest bij het bomardement van 10-10-1943. Het pand Dennenweg 188 is blijven staan. Zie schadekaart B5 van 10-10-1943.Na de oorlog zijn de panden 190-198 herbouwd en weer later samen met pand het pand 188 gesloopt in 2002 bij de afbraak van de Drentse Buurt. Nu staan er op die plek nieuwe woningen met huisnummers 200 t-m 204.
Bouwmeester H. textielarbeider Dennenweg 188
Bouwmeester Mej. H. textielarbeidster Dennenweg 188
Vries J. de fabrieksarbeider Dennenweg 190
Vries Mej. St. de textielarbeidster Dennenweg 190
Vries R. de textielarbeider Dennenweg 190
Vries Tj. de arbeider Dennenweg 190 advertentie 9-11-1943
Kroes J.W. arbeider Dennenweg 192
Kroes K. textielarbeider Dennenweg 192
Kroes Mej. J. Dennenweg 192
Haak J. grondwerker Dennenweg 194
Haak Mej. B. Dennenweg 194
Kloppenburg W. arbeider Dennenweg 196
Vries Jac. de grondwerker Dennenweg 198 advertentie 24-5-1969
Vries Mej. Z. de Dennenweg 198
De panden Dennenweg 190-192-194-196 en 198 zijn verwoest bij het bomardement van 10-10-1943. Het pand Dennenweg 188 is blijven staan. Zie schadekaart B5 van 10-10-1943.Na de oorlog zijn de panden 190-198 herbouwd en weer later samen met pand het pand 188 gesloopt in 2002 bij de afbraak van de Drentse Buurt. Nu staan er op die plek nieuwe woningen met huisnummers 200 t-m 204.
Re: Adresboek Enschede 1939.
Nieterink H. metaalbewerker Dennenweg 200 advertentie 19-10-1963
Veen Fr. van der chauffeur Dennenweg 200
We zijn dus in het adresboek 1939 gekomen bij het adres Dennenweg 200. Het pand waar ik vanaf mij geboorte in 1945 tot met 2002 met plezier heb gewoond. Ik moest toen noodgegedwongen verhuizen omdat alle woningen in de Drentse Buurt van de toenmalige woningbouwvereniging De Volkswoning moest worden gesloopt en vervangen door nieuwbouw vanaf de Pathmossingel tot de Dennenweg. Ik heb dit al eens eerder vermeld bij mijn berichten van 18-9-2023 in topic Niet meer bestaande gebouwen, zie: viewtopic.php?p=197087&hilit=dennenweg+200#p197087
Het grootst gedeelte van onze buurt was het niet mee eens met deze sloop en gedwongen verhuizing en heb daarover samen met mijn buurman Piet Pothast een interview gehad met een reporter van het Algemeen Dagblad. zie bijgaand krantenbericht van 27-5-2002.
Inmiddels woon ik toch wel weer met plezier aan de Adriaen van Ostadestraat in de nabij gelegen woonwijk Stadsveld.
Veen Fr. van der chauffeur Dennenweg 200
We zijn dus in het adresboek 1939 gekomen bij het adres Dennenweg 200. Het pand waar ik vanaf mij geboorte in 1945 tot met 2002 met plezier heb gewoond. Ik moest toen noodgegedwongen verhuizen omdat alle woningen in de Drentse Buurt van de toenmalige woningbouwvereniging De Volkswoning moest worden gesloopt en vervangen door nieuwbouw vanaf de Pathmossingel tot de Dennenweg. Ik heb dit al eens eerder vermeld bij mijn berichten van 18-9-2023 in topic Niet meer bestaande gebouwen, zie: viewtopic.php?p=197087&hilit=dennenweg+200#p197087
Het grootst gedeelte van onze buurt was het niet mee eens met deze sloop en gedwongen verhuizing en heb daarover samen met mijn buurman Piet Pothast een interview gehad met een reporter van het Algemeen Dagblad. zie bijgaand krantenbericht van 27-5-2002.
Inmiddels woon ik toch wel weer met plezier aan de Adriaen van Ostadestraat in de nabij gelegen woonwijk Stadsveld.
Re: Adresboek Enschede 1939.
Buist A. Dennenweg 202
Buist H. Dennenweg 202
Buist P. grondwerker Dennenweg 202 advertentie 8-5-1948 en 28-2-1968 en krantenbericht 15-3-1957
Buist H. Dennenweg 202
Buist P. grondwerker Dennenweg 202 advertentie 8-5-1948 en 28-2-1968 en krantenbericht 15-3-1957
Re: Adresboek Enschede 1939.
Neef B. grondwerker Dennenweg 204 krantenbericht 6-9-1956
Neef D. textielarbeider Dennenweg 204
Neef H. textielarbeider Dennenweg 204
Neef J. textielarbeider Dennenweg 204
Neef Mej. W. Dennenweg 204
Holle B. grondwerker Dennenweg 206 advertentie 28-3-1955
Postma R. chauffeur Dennenweg 208
Weijel J. slager Dennenweg 210 1
Oosterbos B. textielarbeider Dennenweg 212
Oosterbos F. arbeider Dennenweg 212
Oosterbos J. textielarbeider Dennenweg 212
Oosterbos L. fabrieksarbeider Dennenweg 212
Neef D. textielarbeider Dennenweg 204
Neef H. textielarbeider Dennenweg 204
Neef J. textielarbeider Dennenweg 204
Neef Mej. W. Dennenweg 204
Holle B. grondwerker Dennenweg 206 advertentie 28-3-1955
Postma R. chauffeur Dennenweg 208
Weijel J. slager Dennenweg 210 1
Oosterbos B. textielarbeider Dennenweg 212
Oosterbos F. arbeider Dennenweg 212
Oosterbos J. textielarbeider Dennenweg 212
Oosterbos L. fabrieksarbeider Dennenweg 212
Re: Adresboek Enschede 1939.
Goor J. van grondarbeider Dennenweg 205
Noordman W. Dennenweg 205
Veen A.J. van textielarbeider Dennenweg 207
Veen H. van textielarbeider Dennenweg 207
Veen Joh. van Dennenweg 207
Veen Mej. Joh.P. van Dennenweg 207
Mansveld H.Joh. ter grondwerker Dennenweg 209
Akse H. smid Dennenweg 211
Ekkelboom J. grondwerker Dennenweg 213
Stender J. Dennenweg 215
Stender Mej. A.M. confectienaaister Dennenweg 215
Stender W.T.H.A. grondwerker Dennenweg 215
Ruiter A. de textielarbeider Dennenweg 217
Stender F. textielarbeider Dennenweg 217
Noordman W. Dennenweg 205
Veen A.J. van textielarbeider Dennenweg 207
Veen H. van textielarbeider Dennenweg 207
Veen Joh. van Dennenweg 207
Veen Mej. Joh.P. van Dennenweg 207
Mansveld H.Joh. ter grondwerker Dennenweg 209
Akse H. smid Dennenweg 211
Ekkelboom J. grondwerker Dennenweg 213
Stender J. Dennenweg 215
Stender Mej. A.M. confectienaaister Dennenweg 215
Stender W.T.H.A. grondwerker Dennenweg 215
Ruiter A. de textielarbeider Dennenweg 217
Stender F. textielarbeider Dennenweg 217
Re: Adresboek Enschede 1939.
Polmann M. textielarbeider Dennenweg 214
Hoogeveen S. cementwerker Dennenweg 216
Dokter J. chauffeur Dennenweg 220
Dragt J. textielarbeider Dennenweg 222
Nijhof Joh. metaalslijper Dennenweg 224
Nijhof H. Dennenweg 224 advertentie 2-8-1940
Schoonderbeek H. wikkelaar Dennenweg 226
Schuite J.H. textielarbeider Dennenweg 226 advertentie 22-12-1944
Hoogeveen S. cementwerker Dennenweg 216
Dokter J. chauffeur Dennenweg 220
Dragt J. textielarbeider Dennenweg 222
Nijhof Joh. metaalslijper Dennenweg 224
Nijhof H. Dennenweg 224 advertentie 2-8-1940
Schoonderbeek H. wikkelaar Dennenweg 226
Schuite J.H. textielarbeider Dennenweg 226 advertentie 22-12-1944
Re: Adresboek Enschede 1939.
Bennink J.H. brandstoffenhandelaar Dennenweg 219 advertentie 15-10-1966
Beekman Mej. D.H. textielarbeidster Dennenweg 221
Zwolle J. textielarbeider Dennenweg 221
Tuinbeek C. timmerman Dennenweg 223
Beekman Mej. D.H. textielarbeidster Dennenweg 221
Zwolle J. textielarbeider Dennenweg 221
Tuinbeek C. timmerman Dennenweg 223
Re: Adresboek Enschede 1939.
Elferink J.H. arbeider Dennenweg 225
Jaspers B. textielarbeider Dennenweg 227
Altena M. textielarbeider Dennenweg 229 advertentie 15-10-1966
Koenhorst B. katoendrukker Dennenweg 231
Boes Kl. fabrieksarbeider Dennenweg 233
Kuiper W. wegwerker Dennenweg 235 advertentie 8-1-1959
Jaspers B. textielarbeider Dennenweg 227
Altena M. textielarbeider Dennenweg 229 advertentie 15-10-1966
Koenhorst B. katoendrukker Dennenweg 231
Boes Kl. fabrieksarbeider Dennenweg 233
Kuiper W. wegwerker Dennenweg 235 advertentie 8-1-1959
Re: Adresboek Enschede 1939.
Maathuis B.Fr. kruidenier Dennenweg 237 krantenbericht 3-6-1941
- Bijlagen
-
- Dennenweg 235 en op 237 was vroeger de kruidenierswinkel van Ten Oever (later Vivowinkel) en nog eerder kruidenier Maathuis.JPG (103.1 KiB) 2998 keer bekeken
-
- Dennenweg 235-237 dubbelpand rechterkant vroeger Vivowinkel ten Oever en nog eerder kruidenier Maathuis.jpg (57.6 KiB) 2998 keer bekeken
Re: Adresboek Enschede 1939.
Bennink B. textielarbeider Dennenweg 239 advertentie 13-6-1942
Bennink G.B. Dennenweg 239 advertentie 19-8-1947
Bennink H. Dennenweg 239
Bennink J.G. brandstoffenhandelaar Dennenweg 239 advertentie 13-8-1966
Bennink G.B. Dennenweg 239 advertentie 19-8-1947
Bennink H. Dennenweg 239
Bennink J.G. brandstoffenhandelaar Dennenweg 239 advertentie 13-8-1966
Re: Adresboek Enschede 1939.
Ezendam H. pakhuisknecht Dennenweg 241 advertentie 22-1-1947
Ezendam J.A. smid Dennenweg 241 krantenbericht 31-5-1938
Ezendam Mej. G.A. Dennenweg 241
Zelvers M.Joh. straatenmaker Dennenweg 243
Zelvers-Nijzink Wed. H. Dennenweg 243
Ezendam J.A. smid Dennenweg 241 krantenbericht 31-5-1938
Ezendam Mej. G.A. Dennenweg 241
Zelvers M.Joh. straatenmaker Dennenweg 243
Zelvers-Nijzink Wed. H. Dennenweg 243
Re: Adresboek Enschede 1939.
Roelofs H.H. grondwerker Dennenweg 228
Edelenbos Mej. B. textielarbeidster Dennenweg 230
Woudsma J. fabrieksarbeider Dennenweg 230 advertentie 23-8-1937
Bennink J.H. textielarbeider Dennenweg 232 advertentie 7-11-1944
Edelenbos Mej. B. textielarbeidster Dennenweg 230
Woudsma J. fabrieksarbeider Dennenweg 230 advertentie 23-8-1937
Bennink J.H. textielarbeider Dennenweg 232 advertentie 7-11-1944
Re: Adresboek Enschede 1939.
Voogd H.C. chauffeur T.E.T. Dennenweg 234 advertentie 2-1-1960
Voogd H.J. Dennenweg 234 advertentie 22-12-1938
Voogd H.J. Dennenweg 234 advertentie 22-12-1938
Re: Adresboek Enschede 1939.
Bosch G.B. textielarbeider Dennenweg 247
Blom A. grondwerker Dennenweg 249
Kiekebos D. fabrieksarbeider Dennenweg 251
Nijhof Joh. textielarbeider Dennenweg 253
Bijenhof M. pakhuisknecht Dennenweg 255
Leppen W.Joh. schilder Dennenweg 257
Leppen-Morshuis Wed. M.B. Dennenweg 257
Leppen B.M. kaashandelaar Dennenweg 259
eerder zat op adres Dennenweg 259 kolenhandel J.W. Leppen volgens advertentie 20-1-1923
Blom A. grondwerker Dennenweg 249
Kiekebos D. fabrieksarbeider Dennenweg 251
Nijhof Joh. textielarbeider Dennenweg 253
Bijenhof M. pakhuisknecht Dennenweg 255
Leppen W.Joh. schilder Dennenweg 257
Leppen-Morshuis Wed. M.B. Dennenweg 257
Leppen B.M. kaashandelaar Dennenweg 259
eerder zat op adres Dennenweg 259 kolenhandel J.W. Leppen volgens advertentie 20-1-1923
Re: Adresboek Enschede 1939.
We zijn met het Adresboek Enschede 1939 nu aanbeland bij de Deppenbroeksweg. Het zal niet meevallen om van de Deppenbroeksweg foto´s van de panden te vinden, want de Deppenbroeksweg is inmiddels een vervallen straatnaam.
zie mijn bericht van 19-3-2017 in topic verdwenen straatnamen op± viewtopic.php?p=165447&hilit=deppenbroe ... 62#p165447
De Deppenbroeksweg is een vervallen straatnaam en deze liep van de Voortsweg eerst w.-waarts, daarna n.w.-waarts tot de Braakweg.
Geschiedenis
Naar het erve "Het Deppenbroek" (29 mei 1936). Vervallen bij besluit van 12 december 1960. Bij besluit van 16 maart 1959 is het eerste gedeelte bij de Lijsterstraat gevoegd; het laatste gedeelte heet "Vanekerbeekweg". bron: http://straatnamen.enschede.nl/archief/00104/?char=D
Er is wel een foto van de boerderij Deppenbroek aan de Deppenbroeksweg 110, zie later.
Er is nu wel een Deppenbroekstraat. Zie mijn bericht van 13-1-2018 in topic straatnaambordjes op± viewtopic.php?p=169860&hilit=deppenbroekstraat#p169860
De Deppenbroekstraat loopt van de Lijsterstraat n.-waarts tot de Waalstraat.
Geschiedenis
Naar het oude erve "Het Deppenbroek" waaraan dit stadsdeel ook zijn naam ontleent (12 december 1960). bron: http://straatnamen.enschede.nl/straten/00210/?char=D
Er is nog we een Deppenbroekweg in de gemeente Losser, zie±
https://postcodebijadres.nl/losser/deppenbroekweg/1-18
Ik zal proberen van de adressen Adresboek Enschede 1939 informatie te vinden dmv advertenties uit de kranten enz.
zie mijn bericht van 19-3-2017 in topic verdwenen straatnamen op± viewtopic.php?p=165447&hilit=deppenbroe ... 62#p165447
De Deppenbroeksweg is een vervallen straatnaam en deze liep van de Voortsweg eerst w.-waarts, daarna n.w.-waarts tot de Braakweg.
Geschiedenis
Naar het erve "Het Deppenbroek" (29 mei 1936). Vervallen bij besluit van 12 december 1960. Bij besluit van 16 maart 1959 is het eerste gedeelte bij de Lijsterstraat gevoegd; het laatste gedeelte heet "Vanekerbeekweg". bron: http://straatnamen.enschede.nl/archief/00104/?char=D
Er is wel een foto van de boerderij Deppenbroek aan de Deppenbroeksweg 110, zie later.
Er is nu wel een Deppenbroekstraat. Zie mijn bericht van 13-1-2018 in topic straatnaambordjes op± viewtopic.php?p=169860&hilit=deppenbroekstraat#p169860
De Deppenbroekstraat loopt van de Lijsterstraat n.-waarts tot de Waalstraat.
Geschiedenis
Naar het oude erve "Het Deppenbroek" waaraan dit stadsdeel ook zijn naam ontleent (12 december 1960). bron: http://straatnamen.enschede.nl/straten/00210/?char=D
Er is nog we een Deppenbroekweg in de gemeente Losser, zie±
https://postcodebijadres.nl/losser/deppenbroekweg/1-18
Ik zal proberen van de adressen Adresboek Enschede 1939 informatie te vinden dmv advertenties uit de kranten enz.
Re: Adresboek Enschede 1939.
Maak er niet teveel werk van, Arie. Het is sowieso al een enorme klus die je op je hals hebt gehaald.
Re: Adresboek Enschede 1939.
Polman Joh.B. opperman Deppenbroeksweg 4
Jansen Joh. bezorger b.d. Veluwe Deppenbroeksweg 5
Bleijenberg G.Joh. fabrieksarbeider Deppenbroeksweg 6 krantenbericht 1-11-1956
Duursma B. grondarbeider Deppenbroeksweg 7
Duursma B. tuinder Deppenbroeksweg 7
Weele-van den Broek Wed. J. ter Deppenbroeksweg 8
Reudink J. textielarbeider Deppenbroeksweg 12 advertentie 28-1-1959
Siemerink H. textielarbeider Deppenbroeksweg 14
Bruinewoud J.J. fabrieksarbeider Deppenbroeksweg 16
Asbreuk G.H. textielarbeider Deppenbroeksweg 18
Vorgers Mej. G.M. textielarbeidster Deppenbroeksweg 18
Peterink B.Gr. textielarbeider Deppenbroeksweg 20
Steege J. ter metselaar Deppenbroeksweg 22 advertentie 6-12-1951
Schildkamp Joh.Joz. timmerman Deppenbroeksweg 26
Schildkamp Mej. M.Joh. textielarbeidster Deppenbroeksweg 26
Schildkamp-Perik Wed. G. Deppenbroeksweg 26
Oosten S.Joz.H. slager Deppenbroeksweg 30
Jansen Joh. bezorger b.d. Veluwe Deppenbroeksweg 5
Bleijenberg G.Joh. fabrieksarbeider Deppenbroeksweg 6 krantenbericht 1-11-1956
Duursma B. grondarbeider Deppenbroeksweg 7
Duursma B. tuinder Deppenbroeksweg 7
Weele-van den Broek Wed. J. ter Deppenbroeksweg 8
Reudink J. textielarbeider Deppenbroeksweg 12 advertentie 28-1-1959
Siemerink H. textielarbeider Deppenbroeksweg 14
Bruinewoud J.J. fabrieksarbeider Deppenbroeksweg 16
Asbreuk G.H. textielarbeider Deppenbroeksweg 18
Vorgers Mej. G.M. textielarbeidster Deppenbroeksweg 18
Peterink B.Gr. textielarbeider Deppenbroeksweg 20
Steege J. ter metselaar Deppenbroeksweg 22 advertentie 6-12-1951
Schildkamp Joh.Joz. timmerman Deppenbroeksweg 26
Schildkamp Mej. M.Joh. textielarbeidster Deppenbroeksweg 26
Schildkamp-Perik Wed. G. Deppenbroeksweg 26
Oosten S.Joz.H. slager Deppenbroeksweg 30


