Pagina 41 van 46
Re: Wie, Wat, Waar. Vragen over oud Enschede.
Geplaatst: di okt 01, 2024 5:04 am
door enschedeinansichten
Wat zou dit kunnen zijn ?
Muziek van Enschede ten bate van de Textiel Arbeiders.
De advertentie zat in hetzelfde mapje.

- staking 1910.jpg (44.69 KiB) 9273 keer bekeken
Re: Wie, Wat, Waar. Vragen over oud Enschede.
Geplaatst: di okt 01, 2024 12:32 pm
door Arie
enschedeinansichten schreef: ↑di okt 01, 2024 5:04 am
Wat zou dit kunnen zijn ?
Muziek van Enschede ten bate van de Textiel Arbeiders.
Ik heb het nog niet kunnen vinden waar en wanneer deze foto's zijn gemaakt.
Ik weet wel dat er in Enschede op 10-3-1924 ook een grote demonstratie was op de (Oude) Markt ivm staking in de textielindustrie. Zie bijgaande foto en bericht uit het stadsarchief.

- Markt Demonstratie van leden en sympathisanten van de Algemene Nederlandse Bond van Textielarbeiders, De Eendracht, in kader van de grote textielstaking 10-3-1924.jpeg (151.8 KiB) 9261 keer bekeken
De Grote Textielstaking
In conflict met de textielfabrikanten
Het was na de Eerste Wereldoorlog geen vetpot om in de textiel te werken. Er was sinds de vorige eeuw veel verbeterd, maar de arbeiders waren inmiddels goed georganiseerd en accepteerden de grote winsten in de familiebedrijven niet meer. Ze wilden het zelf ook beter hebben. Bij een protestmars liet een arbeider met een bakfiets vol bezemstelen dat duidelijk blijken: "Grote stelen en kleine stelen, grote stelen het meest." In 1923 brak bij Van Heek & Co. een grote staking uit. Door toepassing van "het Twentse Stelsel" kwamen ook veel andere textielarbeiders zonder werk.
Het Twentse stelsel
De fabrikanten, sinds 1888 verenigd in de Enschedesche Fabrikanten Vereeniging, reageerden doorgaans als collectief. Een staking bij één van de aangesloten bedrijven werd gevolgd door het stilleggen van meerdere fabrieken, met uitsluiting van alle arbeiders die er werkten. Dat gold in 1890 voor 5.000 man, in 1902 voor 2.000 werknemers, in 1909 voor 7.500 man. De staking bij Van Heek & Co in 1902 ondervond veel sympathie in en buiten Twente. Henriëtte Roland Holst hield vlammende redevoeringen in het hele land en zamelde met haar man geld in als aanvulling op de stakingsuitkeringen. Uiteindelijk wonnen echter de fabrikanten. In 1909 sprak Pieter Jelles Troelstra, de leider van de SDAP, voor een gehoor van 7.000 textielarbeiders. In dat geval werden door de directie van Menko toezeggingen gedaan.
Eindelijk de achturendag?
In 1920 werd landelijk een nieuwe Arbeidswet ingevoerd, met onder meer een verplichte acht-urige werkdag. De Twentse fabrikanten hadden een uitzonderingsregeling weten te bereiken: hier gold een werkdag van 8.5 uur. Vervolgens vroeg men de arbeiders echter om 10% minder loon te verdienen of nog 10% meer te werken. De reden daarvoor zou liggen in de hevige concurrentie op de wereldmarkt, waardoor hoe dan ook de productiekosten zouden moeten worden verlaagd. Alle vakbonden verwierpen het voorstel. Op 23 oktober 1923 brak een staking uit bij Van Heek & Co. Eind november waren 39 fabrieken in Twente en de Achterhoek stilgelegd en 22.000 arbeiders uitgesloten. Vertegenwoordigers van werknemers werden door de fabrikanten meestal niet als volwaardige gesprekspartners gezien; inzicht in financiële bedrijfsgegevens kregen ze nooit. Hoewel ook deze staking landelijk weer veel steun kreeg haalden de bonden uiteindelijk in februari 1924 bakzeil. Een nieuwe ronde van loonsverlaging met 5% leidde in het crisisjaren 1931/32 tot een staking bij Gerh. Jannink & Zn en vervolgens tot uitsluiting van in totaal 16.000 werknemers. Ook die staking werd niet door de vakbonden gewonnen; de loonsverlaging bleef ongewijzigd.
In 1946 werd er in de textielindustrie eindelijk een CAO afgesloten. Ook daarna waren er stakingen: de textielindustrie stond onder toenemende druk van de wereldwijde concurrentie. In de jaren 1960-1970 sloten de meeste fabrieken de poorten. bron:
https://collecties.erfgoedenschede.nl/v ... d=71463088
Re: Wie, Wat, Waar. Vragen over oud Enschede.
Geplaatst: di okt 01, 2024 1:08 pm
door enschedeinansichten
Re: Wie, Wat, Waar. Vragen over oud Enschede.
Geplaatst: vr nov 29, 2024 10:42 pm
door enschedeinansichten
Re: Wie, Wat, Waar. Vragen over oud Enschede.
Geplaatst: za nov 30, 2024 10:09 am
door Arie
Zie bericht van Veteraan in topic Enschgdese geveltjes van 10-8-2018 op
viewtopic.php?p=172997&hilit=nieuwstraa ... en#p172997
Fa. `De E.N.O.O.`, IJzerwaren engros, Nieuwstraat 34
zie ook telefoonboek 1950 op
https://www.enschedeinansichten.nl/1950-e
Re: Wie, Wat, Waar. Vragen over oud Enschede.
Geplaatst: za nov 30, 2024 1:01 pm
door enschedeinansichten
En dat is ook alles wat ik gevonden heb.
Re: Wie, Wat, Waar. Vragen over oud Enschede.
Geplaatst: zo dec 01, 2024 12:20 am
door enschedeinansichten
Deze was vertegenwoordiger en daar zie ik niet veel van, wel van verzekeringen.
Re: Wie, Wat, Waar. Vragen over oud Enschede.
Geplaatst: zo dec 01, 2024 8:50 am
door Arie
enschedeinansichten schreef: ↑zo dec 01, 2024 12:20 am
Deze was vertegenwoordiger en daar zie ik niet veel van, wel van verzekeringen.wie kent dit Melster.jpg
Firma A.E. Melster agent teerverfstoffen, garens katoen enz. advertentie Tubantia 5-1915.
Piet Heinstraat 4 A.E. Melster 1849-1930.
Piet Heinstraat 4 Fa. A.E. Melster advertentie Tubantia 28-8-1940.
Piet Heinstraat 4 Firma A.E. Melster advertentie Tubantia 8-10-1969.

- Firma A.E. Melster agent teerverfstoffen, garens katoen enz. advertentie Tubantia 5-1915.jpg (35.78 KiB) 8806 keer bekeken

- Piet Heinstraat 4 Firma A.E. Melster advertentie Tubantia 8-10-1969.jpg (47.47 KiB) 8806 keer bekeken
Re: Wie, Wat, Waar. Vragen over oud Enschede.
Geplaatst: zo dec 01, 2024 10:00 am
door Arie
A.E. Melster Enschede vertegenwoordiger katoenen garens voor binnen- en buitenlandse spinnerijen advertentie 2-7-1929

- A.E. Melster Enschede vertegenwoordiger katoenen garens voor binnen- en buitenlandse spinnerijen advertentie 2-7-1929.jpg (40.93 KiB) 8800 keer bekeken
Re: Wie, Wat, Waar. Vragen over oud Enschede.
Geplaatst: zo dec 01, 2024 11:29 am
door enschedeinansichten
Zou die verzekering en vertegenwoordiging hetzelfde zijn ?
Re: Wie, Wat, Waar. Vragen over oud Enschede.
Geplaatst: zo dec 01, 2024 2:32 pm
door Arie
enschedeinansichten schreef: ↑zo dec 01, 2024 11:29 am
Zou die verzekering en vertegenwoordiging hetzelfde zijn ?
Ja, zie het artikel over A.E. Melster in Sliepsteen van voorjaar 2002 nr. 69 van SHSEL op
https://www.shsel.nl/wp-content/uploads ... aar-69.pdf
Re: Wie, Wat, Waar. Vragen over oud Enschede.
Geplaatst: di dec 03, 2024 10:40 pm
door enschedeinansichten
Op de eerste plaats vertegenwoordiger van toeleveringsbedrijven aan de textiel en depot.
Hij deed ook verzekeringen daarbij. Hij hield kantoor op een etage in een bangebouw.

- melster 16 10 1875.jpg (19.64 KiB) 8752 keer bekeken

- melster 11 6 1890.jpg (34.99 KiB) 8752 keer bekeken

- melster 13 3 1909.jpg (12.27 KiB) 8752 keer bekeken
Re: Wie, Wat, Waar. Vragen over oud Enschede.
Geplaatst: wo dec 04, 2024 9:44 am
door Arie
enschedeinansichten schreef: ↑di dec 03, 2024 10:40 pm
Op de eerste plaats vertegenwoordiger van toeleveringsbedrijven aan de textiel en depot.
Hij deed ook verzekeringen daarbij. Hij hield kantoor op een etage in een bangebouw.
Dat bankgebouw was dus de Incassobank later de Amrobank aan de Piet Heinstraat 4
Re: Wie, Wat, Waar. Vragen over oud Enschede.
Geplaatst: do dec 12, 2024 4:45 pm
door enschedeinansichten
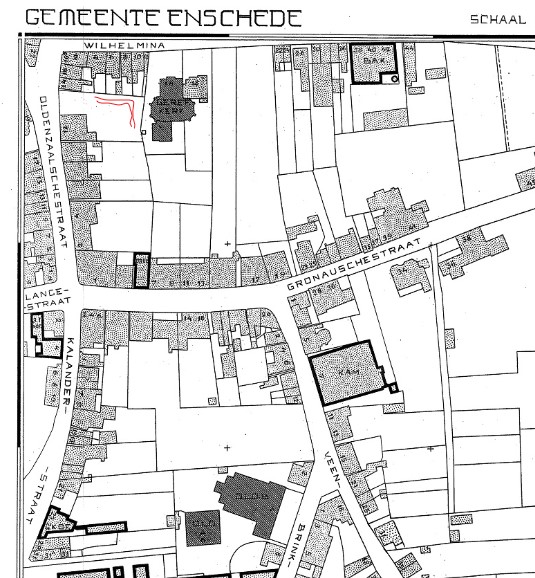
Ik krijg het niet scherp. De Foto van taxi bedrijf Kuiper aan de Oldenzaalsestraat 12.
De kerk is wel bijna zeker de Oosterkerk aan de Wilhelminastraat. Maar dan zou dit aan de rechterkant van de kerk moeten zijn. Dus niet aan de Oldenzaalsestraat zijde.
Re: Wie, Wat, Waar. Vragen over oud Enschede.
Geplaatst: do dec 12, 2024 8:29 pm
door Arie
enschedeinansichten schreef: ↑do dec 12, 2024 4:45 pm
Ik krijg het niet scherp. De Foto van taxi bedrijf Kuiper aan de Oldenzaalsestraat 12.
De kerk is wel bijna zeker de Oosterkerk aan de Wilhelminastraat. Maar dan zou dit aan de rechterkant van de kerk moeten zijn. Dus niet aan de Oldenzaalsestraat zijde.
taxi kuipers.jpg
Dit is inderdaad de Oosterkerk aan de Wilhelminastraat 18
Re: Wie, Wat, Waar. Vragen over oud Enschede.
Geplaatst: do dec 12, 2024 9:17 pm
door enschedeinansichten
[/quote]Dit is inderdaad de Oosterkerk aan de Wilhelminastraat 18Wilhelminastraat 18 Gereformeerde kerk Oosterkerk.jpg
[/quote]
Ja dat dacht ik ook maar hier zie je wat op de foto staat in spiegelbeeld. Die Foto moet dus van de achterkant zijn.
Re: Wie, Wat, Waar. Vragen over oud Enschede.
Geplaatst: vr dec 13, 2024 10:00 am
door Hendrik
Taxi berdijf Kuipers was gevestigd aan de Oldenzaalsestraat. Vanaf die straat keek je op de zijkant van de kerk. Die straatkant is later dichtgebouwd en Ter Stal kwam er te zitten. Ik herinner mij nog dat de kerkenraad een verzoek kreeg met het recht van overpad aan de achterkant van het nieuwe Ter Stal pand. Dus aan de zijkant van de kerk aan de Wilhelminastraatkant. Dat is toen geweigerd omdat men niet de kans wilde lopen dat 's zondagsmorgen ter Stal tijdens de kerkdiensten goederen ging lossen. In geval van brand de achteruitgang gebruiken kon uiteraard wel. Er zit een achterdeur in het nieuwe winkelpand die nooit is gebruikt.
Re: Wie, Wat, Waar. Vragen over oud Enschede.
Geplaatst: vr dec 13, 2024 2:25 pm
door enschedeinansichten

- taxi kuipers 2.jpg (116.43 KiB) 8456 keer bekeken
Re: Wie, Wat, Waar. Vragen over oud Enschede.
Geplaatst: za jan 11, 2025 12:27 pm
door enschedeinansichten
Heeft iemand enig idee waar dit precies was ?

- stadgravenstr van haren 9 4 1965 tekst.jpg (33.71 KiB) 8069 keer bekeken
Re: Wie, Wat, Waar. Vragen over oud Enschede.
Geplaatst: za jan 11, 2025 4:25 pm
door LeonB
Dit was de tuin van villa Cromhoff dat achter het huidige Moeke staat, gezien vanaf de Oude Markt.
Aan de onderzijde zie je nog net een paar punten van het hek.
Ik neem aan dat het rechter pand, gezien de grote deur, het koetshuis van de villa was.