Welkom op het forum van Enschedeinansichten.

Adresboek Enschede 1939.

Over de rijke historie van de stad.
Gebruikersavatar
Arie
Member
Member
Berichten: 26674
Lid geworden op: di nov 27, 2007 4:31 pm
Locatie: Enschede

Re: Adresboek Enschede 1939.

Bericht door Arie »

Bulthuis Th.F. smid Bremstraat 22 advertentie 22-9-1947
Bulthuis-Jonker Wed. H. Bremstraat 22
Schepen Joh.C. chauffeur Bremstraat 24 advertentie 31-5-1941
Weide H. in de Bremstraat 26
Weide Joh.B. in de textielarbeider Bremstraat 26
Bremstraat 22 Th.F. Bulthuis overlijdensadvertentie Tubantia 22-9-1947.jpg
Bremstraat 22 Th.F. Bulthuis overlijdensadvertentie Tubantia 22-9-1947.jpg (54.61 KiB) 1488 keer bekeken
Bremstraat 24 J.C. Schepen Twents Dakbedekkingsbedrijf advertentie Tubantia 31-5-1941.jpg
Bremstraat 22-24.jpg
Bremstraat 22-24.jpg (151.89 KiB) 1488 keer bekeken
Bremstraat 20 woning 1967 en 22-24-26 woningen 1910.jpg
Bremstraat 20 woning 1967 en 22-24-26 woningen 1910.jpg (100.14 KiB) 1488 keer bekeken
Gebruikersavatar
Arie
Member
Member
Berichten: 26674
Lid geworden op: di nov 27, 2007 4:31 pm
Locatie: Enschede

Re: Adresboek Enschede 1939.

Bericht door Arie »

Grevers G.J. Bremstraat 17
Kwekkeboom G.Joh. Bremstraat 19 advertentie 6-9-1943 en 21-10-1948
Drost H. schilder Bremstraat 21 advertentie 3-9-1965
Bremstraat 19 G.J. Kwekkeboom advertentie Twentsch nieuwsblad 6-9-1943.jpg
Bremstraat 19 G.J. Kwekkeboom advertentie Twentsch nieuwsblad 6-9-1943.jpg (35.13 KiB) 1486 keer bekeken
Bremstraat 19 G.J. Kwekkeboom overlijdensadvertentie Tubantia 21-10-1948.jpg
Bremstraat 19 G.J. Kwekkeboom overlijdensadvertentie Tubantia 21-10-1948.jpg (45.72 KiB) 1486 keer bekeken
Bremstraat 23 Hermannus Drost overlijdensadvertentie Tubantia 3-9-1965.jpg
Bremstraat 17-19-21 woningen bouwjaar 1934 foto 2017.jpg
Gebruikersavatar
Arie
Member
Member
Berichten: 26674
Lid geworden op: di nov 27, 2007 4:31 pm
Locatie: Enschede

Re: Adresboek Enschede 1939.

Bericht door Arie »

Knobben Joh.M. textielarbeider Bremstraat 23
Bremstraat 23 G.G.M. Swart-Knobben advertentie Twentsch nieuwsblad 23-11-1944
Bruinewoud G. chauffeur Bremstraat 25 advertentie 24-8-1944
Gieskes M.J. textielarbeider Bremstraat 27
Bremstraat 23 G.G.M. Swart-Knobben advertentie Twentsch nieuwsblad 23-11-1944.jpg
Bremstraat 23 G.G.M. Swart-Knobben advertentie Twentsch nieuwsblad 23-11-1944.jpg (35.28 KiB) 1486 keer bekeken
Bremstraat 25 G. Bruinewoud advertentie Twentsch nieuwsblad 24-8-1944.jpg
Bremstraat 25 G. Bruinewoud advertentie Twentsch nieuwsblad 24-8-1944.jpg (27.31 KiB) 1486 keer bekeken
Bremstraat 23-25-27 woningen bouwjaar 1934 foto 2009.jpg
Gebruikersavatar
Arie
Member
Member
Berichten: 26674
Lid geworden op: di nov 27, 2007 4:31 pm
Locatie: Enschede

Re: Adresboek Enschede 1939.

Bericht door Arie »

Bijkerk H. fabrieksarbeider Bremstraat 29 advertentie 10-5-1972
Hübert E. textielarbeider Bremstraat 31 advertenie 11-1-1945
Oosterwijk Ch.A. van textielarbeider Bremstraat 33 advertentie 24-8-1966
Bremstraat 29 Hermanus Bijkerk advertentie Tubantia 10+5+1972.jpg
Bremstraat 29 Hermanus Bijkerk advertentie Tubantia 10+5+1972.jpg (66.39 KiB) 1484 keer bekeken
Bremstraat 31 E. Hubert advertentie Twentsch nieuwsblad 11-1-1945.jpg
Bremstraat 31 E. Hubert advertentie Twentsch nieuwsblad 11-1-1945.jpg (21.46 KiB) 1484 keer bekeken
Bremstraat 33 C.A. van Oosterwijk advertentie Tubantia 24-8-1966.jpg
Bremstraat 33 C.A. van Oosterwijk advertentie Tubantia 24-8-1966.jpg (43.45 KiB) 1484 keer bekeken
Bremstraat 29-31-33 woningen bouwjaar 1934 foto 2017.jpg
Gebruikersavatar
Arie
Member
Member
Berichten: 26674
Lid geworden op: di nov 27, 2007 4:31 pm
Locatie: Enschede

Re: Adresboek Enschede 1939.

Bericht door Arie »

Bouwhuis G. kruidenier Bremstraat 28 advertentie 31-12-1940
Bremstraat 28 G. Bouwhuis advertentie Tubantia 31-12-1940.jpg
Bremstraat 28 rechts1967.jpg
Bremstraat 28.jpg
Bremstraat 28 woning foto 2022.jpg
Gebruikersavatar
Arie
Member
Member
Berichten: 26674
Lid geworden op: di nov 27, 2007 4:31 pm
Locatie: Enschede

Re: Adresboek Enschede 1939.

Bericht door Arie »

Weezep P.M. van straatenmaker Bremstraat 30
Berg Mej. J. van den textielarbeidster Bremstraat 32
Lodewijk J. winkel Bremstraat 32 advertentie 18-4-1942
Bremstraat 32 J. Lodewijk advertentie Tubantia 18-4-1942.jpg
Bremstraat 32 J. Lodewijk advertentie Tubantia 18-4-1942.jpg (46.04 KiB) 1483 keer bekeken
Bremstraat 30-32 woningen bouwjaar 1910 foto 2022.jpg
Gebruikersavatar
Arie
Member
Member
Berichten: 26674
Lid geworden op: di nov 27, 2007 4:31 pm
Locatie: Enschede

Re: Adresboek Enschede 1939.

Bericht door Arie »

Kempers H.Ch. textielarbeider Bremstraat 35
Kempers-ten Zeldam Wed. H. Bremstraat 37 advertentie 5-2-1944
Thij G.J. ten getouwbaas Bremstraat 37 advertentie 12-1-1948
Bremstraat 37 wed. H. Kempers-ten Zeldam overlijdensadvertentie Twentsch nieuwsblad 5-2-1944.jpg
Bremstraat 37 wed. H. Kempers-ten Zeldam overlijdensadvertentie Twentsch nieuwsblad 5-2-1944.jpg (42.22 KiB) 1453 keer bekeken
Bremstraat 37 G.J. ten Thij advertentie Tubantia 12-1-1948.jpg
Bremstraat 37 G.J. ten Thij advertentie Tubantia 12-1-1948.jpg (44.87 KiB) 1453 keer bekeken
Bremstraat 35-37 woningen 1967.jpg
Gebruikersavatar
Arie
Member
Member
Berichten: 26674
Lid geworden op: di nov 27, 2007 4:31 pm
Locatie: Enschede

Re: Adresboek Enschede 1939.

Bericht door Arie »

Buiten A.J.M. van timmerman Bremstraat 36 krantenbericht 4-1-1938
Buiten G.J. van sigarenfabriek Bremstraat 36 krantenbericht 8-10-1938
Buiten K. van textielarbeider Bremstraat 36
Buiten M. van sigarenmaker Bremstraat 36
Homma Joh. koopman Bremstraat 38 advertentie 24-5-1938
Homma-Tinga Wed. A. Bremstraat 38
Bremstraat 36 A.J.M. van Buiten timmerman krantenbericht Tubantia 4-1-1938.jpg
Bremstraat 36 G.J. van Buiten sigarenfabriek krantenbericht Tubantia 8-10-1938.jpg
Bremstraat 38 J. Homma advertentie Tubantia 24-5-1938.jpg
Bremstraat 38 J. Homma advertentie Tubantia 24-5-1938.jpg (66.14 KiB) 1452 keer bekeken
Bremstraat 34-36-38 woningen op de hoek met de Fuchsiastraat 1967.jpg
Bremstraat 36-38 woningen bouwjaar 1936 foto 2022.jpg
Gebruikersavatar
Arie
Member
Member
Berichten: 26674
Lid geworden op: di nov 27, 2007 4:31 pm
Locatie: Enschede

Re: Adresboek Enschede 1939.

Bericht door Arie »

Nijland A.J. melkventer Bremstraat 40 advertente 5-10-1949
Nijland H. koetsier Bremstraat 40
Bremstraat 40 A.J. Nijland overlijdensadvertentie Tubantia 5-10-1959.jpg
Bremstraat 40 A.J. Nijland overlijdensadvertentie Tubantia 5-10-1959.jpg (38.51 KiB) 1445 keer bekeken
Bremstraat 40 woningen 1967.jpg
Bremstraat 40 woning bouwjaar 1928 foto 2022.jpg
Gebruikersavatar
Arie
Member
Member
Berichten: 26674
Lid geworden op: di nov 27, 2007 4:31 pm
Locatie: Enschede

Re: Adresboek Enschede 1939.

Bericht door Arie »

Benneker H.W. schilder Bremstraat 45 advertentie 14-6-1956
Kosters L. Bremstraat 47 advertentie 29-7-1944 en 24-3-1956
Bremstraat 45 schldersbedrjf H.W.Benneker advertente Tubanta 14-3-1956.jpg
Bremstraat 47 L.Kosters advertente Twentsch neuwsblad 29-7-1944.jpg
Bremstraat 47 L.Kosters advertente Twentsch neuwsblad 29-7-1944.jpg (51.8 KiB) 1443 keer bekeken
Bremstraat 47 Lambertus Kosters overljdensadvertente Tubanta 24-3-1956.jpg
Bremstraat 47 Lambertus Kosters overljdensadvertente Tubanta 24-3-1956.jpg (32.31 KiB) 1443 keer bekeken
Bremstraat 45-47 woningen 1967.jpg
Bremstraat 45-47 wonngen bouwjaar 1935 foto 2014.jpg
Gebruikersavatar
Arie
Member
Member
Berichten: 26674
Lid geworden op: di nov 27, 2007 4:31 pm
Locatie: Enschede

Re: Adresboek Enschede 1939.

Bericht door Arie »

Waninge J. textielarbeider Bremstraat 46
Waninge Mej. E. Bremstraat 46
Holtkamp H.E. loopjongen Bremstraat 48
Holtkamp W. manufact. Bremstraat 48
Bremstraat 46 Jan Waninge overlijdensadvertentie  Tubantia 1-7-1968.jpg
Bremstraat 46 Jan Waninge overlijdensadvertentie Tubantia 1-7-1968.jpg (31.4 KiB) 1444 keer bekeken
Bremstraat 48 H.E. Holtkamp advertentie Tubantia 15-11-1949.jpg
Bremstraat 48 H.E. Holtkamp advertentie Tubantia 15-11-1949.jpg (38.63 KiB) 1444 keer bekeken
Bremstraat 48 Willem Holtkamp overlijdensadvertentie Tubantia 29-6-1957.jpg
Bremstraat 48 Willem Holtkamp overlijdensadvertentie Tubantia 29-6-1957.jpg (39.69 KiB) 1444 keer bekeken
Bremstraat 46-48 woningen 1967.jpg
Bremstraat 46-48 woningen bouwjaar 1892.jpg
Gebruikersavatar
Arie
Member
Member
Berichten: 26674
Lid geworden op: di nov 27, 2007 4:31 pm
Locatie: Enschede

Re: Adresboek Enschede 1939.

Bericht door Arie »

Hilbrink L.S. fabrieksarbeider Bremstraat 53
Hilbrink S.H. fabrieksarbeider Bremstraat 53 advertentie 14-7-1947
Nevels Fr. arbeider van Gent & Loos Bremstraat 55
Bremstraat 55 A. Kroon-Nevels advertentie Tubantia 23-7-1958
Dalenoord W.G. aannemer Bremstraat 57 advertentie31-12-1947
Bremstraat 53 S.H. Hilbrink advertentie Tubantia 14-7-1947.jpg
Bremstraat 53 S.H. Hilbrink advertentie Tubantia 14-7-1947.jpg (42.25 KiB) 1437 keer bekeken
Bremstraat 55 A. Kroon-Nevels advertentie Tubantia 23-7-1958.jpg
Bremstraat 55 A. Kroon-Nevels advertentie Tubantia 23-7-1958.jpg (38.82 KiB) 1437 keer bekeken
Bremstraat 57 W.G. Dalenoord Fa. Hooiveld advertentie Tubantia 31-12-1947.jpg
Bremstraat 53-55-57 woningen 1967.jpg
Bremstraat 53-55-57 woningen bouwjaar 1930 foto 2017.jpg
Gebruikersavatar
Arie
Member
Member
Berichten: 26674
Lid geworden op: di nov 27, 2007 4:31 pm
Locatie: Enschede

Re: Adresboek Enschede 1939.

Bericht door Arie »

Reijns P.P.A. muziekleeraar, dirigent Brinkstraat 2 advertentie 28-3-1929 en 16-4-1938
Brinkstraat 2 P. Reijns directeur Muziekschool advertentie Tubantia 28-3-1929.jpg
Brinkstraat 2 P. Reijns directeur Muziekschool advertentie Tubantia 28-3-1929.jpg (44.9 KiB) 1425 keer bekeken
Brinkstraat 2 Muziekschool Reijns advertentie Tubantia 16-4-1938.jpg
Brinkstraat 2 Muziekschool Reijns advertentie Tubantia 16-4-1938.jpg (55.02 KiB) 1425 keer bekeken
Brinkstraat 2 Oude gebouw Twents Muzieklyceum 1960. vroeger woonhuis Hoofd OL school B dhr. H. Kniepstra.jpg
Gebruikersavatar
Arie
Member
Member
Berichten: 26674
Lid geworden op: di nov 27, 2007 4:31 pm
Locatie: Enschede

Re: Adresboek Enschede 1939.

Bericht door Arie »

Simonis H.Joh.Jac. ambt. Borgst. Fonds Brinkstraat 5 advertentie 31-8-1940
Brinkstraat 5 H.J.J. Simonis directeur Gemeentelijke Volkscredietbank advertentie Tubantia 31-8-1940.jpg
Brinkstraat 5 H.J.J. Simonis directeur Gemeentelijke Volkscredietbank advertentie Tubantia 31-8-1940.jpg (82.33 KiB) 1418 keer bekeken
Brinkstraat 3-5  rechts Veenstraat. schoorsteen Textielfabriek Blenken 1944.jpg
Gebruikersavatar
Arie
Member
Member
Berichten: 26674
Lid geworden op: di nov 27, 2007 4:31 pm
Locatie: Enschede

Re: Adresboek Enschede 1939.

Bericht door Arie »

Heide G.T.J. van de procuratiehouder Brinkstraat 7 advertentie 25-6-1943
Wertheim M. bedrijfsleider Brinkstraat 9 advertentie 5-8-1941
Wertheim Mej. R.Brinkstraat 9
Brinkstraat 7 G.T.J. van de Heide advertentie Twentsch nieuwsblad 25-6-1943.jpg
Brinkstraat 9 M. Wertheim advertentie Algemeen Handelsblad 5-8-1941.jpg
Brinkstraat 9 M. Wertheim advertentie Algemeen Handelsblad 5-8-1941.jpg (58.87 KiB) 1381 keer bekeken
Brinkstraat 7-9 rechts en links Brinkstraat 4-8   luchtfoto 1932 Fabriek Menko en achter de bomen de ULO.jpg
Gebruikersavatar
Arie
Member
Member
Berichten: 26674
Lid geworden op: di nov 27, 2007 4:31 pm
Locatie: Enschede

Re: Adresboek Enschede 1939.

Bericht door Arie »

Schreurs Joh. concierge Brinkstraat 8 advertentie 29-5-1942
Schreurs Mej. A. Brinkstraat 8
Schreurs W. cocos verver Brinkstraat 8
Brinkstraat 8 Joh. Schreurs advertentie Tubantia 29-5-1942.jpg
Brinkstraat 8 Joh. Schreurs advertentie Tubantia 29-5-1942.jpg (59.36 KiB) 1381 keer bekeken
Brinkstraat 8 conciergewoning en 10-12 Menko achter het hek 2e ULO school op 4-6.jpg
Gebruikersavatar
enschedeinansichten
Member
Member
Berichten: 4868
Lid geworden op: do jan 08, 2009 9:24 pm
Locatie: Enschede
Contacteer:

Re: Adresboek Enschede 1939.

Bericht door enschedeinansichten »

Arie schreef: zo nov 17, 2024 8:39 pm jpgBrinkstraat 3-5 rechts Veenstraat. schoorsteen Textielfabriek Blenken 1944.jpg
Mijn opa was stoker bij Blenken, ik ben daar wel eens in het ketelhuis geweest
Schat iedereen op waarde maar laat daarbij wel iedereen in zijn waarde.
Gebruikersavatar
Arie
Member
Member
Berichten: 26674
Lid geworden op: di nov 27, 2007 4:31 pm
Locatie: Enschede

Re: Adresboek Enschede 1939.

Bericht door Arie »

Dröge Mej. L. dienstbode Brinkstraat 11
Noordhuis J.W. magazijnbediende Brinkstraat 11 advertentie 10-8-1938
Harmsen K.F.J. Brinkstraat 13 advertentie 19-4-1940
Harmsen Mej. H.H. Brinkstraat 13
Harmsen-ter Wee Wed. G.W. Brinkstraat 13
Nijhuis G. portier Brinkstraat 17 advertentie 22-3-1941
Brinkstraat 11 J.W. Noordhuis advertentie Tubantia 10-8-1938.jpg
Brinkstraat 13 K.F.J. Harmsen advertentie Tubantia 19-4-1940.jpg
Brinkstraat 13 K.F.J. Harmsen advertentie Tubantia 19-4-1940.jpg (52.08 KiB) 1366 keer bekeken
Brinkstraat 17 G. Nijhuis advertentie Tubantia 22-3-1941.jpg
Brinkstraat 17 G. Nijhuis advertentie Tubantia 22-3-1941.jpg (50.08 KiB) 1366 keer bekeken
Brinkstraat 11-13-17 foto 1967 In dat lage huis woonde Nijhuis, portier bij Menko aan de overkant.jpg
Brinkstraat 11-17 rechts en links Brinkstraat 10-12 Menko. Overkant pand Brinkstraat 7.jpg
Gebruikersavatar
Arie
Member
Member
Berichten: 26674
Lid geworden op: di nov 27, 2007 4:31 pm
Locatie: Enschede

Re: Adresboek Enschede 1939.

Bericht door Arie »

Evers M.J.hoofd R.K. jongensschool Brinkstraat 22 krantenbericht 31-7-1942
Brinkstraat 22 M.J. Evers krantenbericht 31-7-1942.jpg
Brinkstraat 22 M.J. Evers krantenbericht 31-7-1942.jpg (71.71 KiB) 1358 keer bekeken
Brinkstraat 22 hek toegang terrein R.K. Jongensschool naast Brinkstraat 10-12 Fabriek N.J. Menko en Zonen. helemaal links Brinkstraat 24 hoek Bekinkstraat 37-39.jpg
Brinkstraat 16-24 Links Beukinkstraat37-39. in noordelijke richting met fabriek Menko. 1955.jpg
Brinkstraat. 22 links hoek Beukinkstraat 37-39 R.K. Jongensschool. boven Brinkstraat 4-6  Schoolgebouw 2e Ulo.jpg
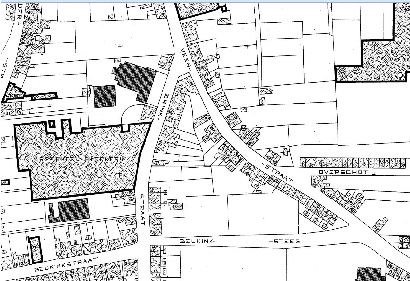
Brinkstraat 1-37 en 2-24 Veenstraat Beukinksteeg Beukinkstraat  Kalanderstraat Kadaster 1912 N 16.jpg
Gebruikersavatar
enschedeinansichten
Member
Member
Berichten: 4868
Lid geworden op: do jan 08, 2009 9:24 pm
Locatie: Enschede
Contacteer:

Re: Adresboek Enschede 1939.

Bericht door enschedeinansichten »

Ik ging daar naar gym van Hercules hebe. Moesten we door een steegje. Vanaf de Haverstraat. Gymles met een piano erbij.
Schat iedereen op waarde maar laat daarbij wel iedereen in zijn waarde.
Plaats reactie